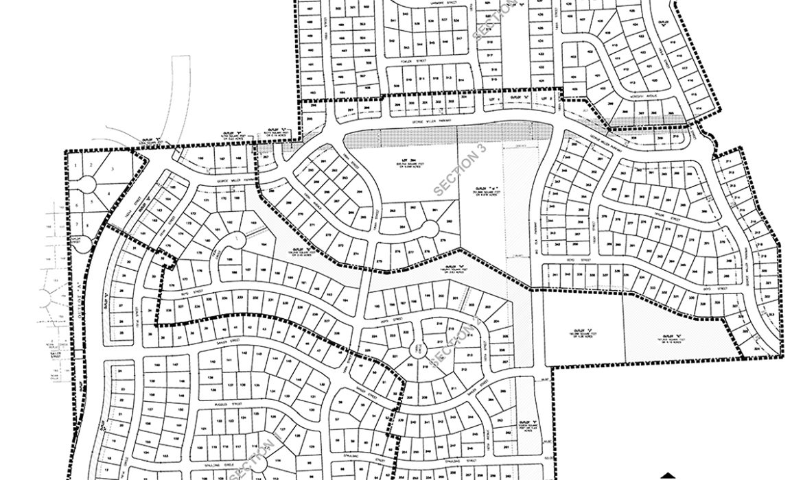
Indian Pointe; Omaha, NE
Once agricultural land, the single-family residential subdivision is a fantastic example of how TD2 brings a developer’s vision to life. The multi-phased project of 560 buildable single-family home lots on 245 acres has now reached its final phase. We are closing out the public improvements stage and leaving those remaining lots in the hands of private home builders. As the neighborhood fills out, space is designated for a church, a park with trails, and a community center with a pool. In the future, 25 acres, purchased by the NRD, will be used to construct a dam/reservoir on the east side of the site.
Although the developer was a long-time TD2 client, we still had to prove ourselves capable of planning, designing, and coordinating a project of this scale. Above all, planning was the most important. Projects of this size and complexity require us to identify, anticipate, and solve all the immediate problems as well as consider what surrounds the development and how the civil elements we have created will interface with them in the future.
The project was divided into four phases – all included rezoning, platting, grading, designing the site to drain to existing outfall sewers, the design and construction management of all public improvements, and coordination of other utilities.
Other TD2 projects surrounding Indian Pointe were improvements to 192nd Street, multiple improvements to West Maple Road (NE Highway 64), and the interceptor servicing approximately 1,360 acres of new development area in northwest Omaha.
Aerial photographs: C41 Photography.